2175 25TH STREET SANFORD FL 32771 (MFRO6356959)
See Also...
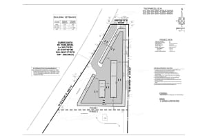
Overview of Parcel 02-20-30-300-0200-0000
High and dry +/- 1.98 buildable acres on 2 lots with sanford ri-1 industrial zoning. entitlements underway for 10,720 sf of climate-controlled self-storage on 2175, with potential for boat/rv storage on 2185 under current permitted uses. seller will consider owner financing or build to suit. A 3-story storage facility is allowed and would increase the square footage. other uses include warehouse space with rare outside storage permitted. new 50 road and water and sewer being provided, and monument sign permitted on 25th st. also ideal for a fleet-based business or those requiring outside storage. easy access to the sr 417, i-4, and 17-92 to sanford and nearby lake mary. plans & surveys available. *** tenants on site. Do not access site without prior notice. ***
Please contact your ZFC agent for more information about MLS# MFRO6356959 or any other land for sale in Sanford or elsewhere in the Seminole County area.
Parcel 02-20-30-300-0200-0000 Price Calculator
The payment calculator figures for Parcel 02-20-30-300-0200-0000 should be used as an estimate only. Loan terms including interest rate, and required downpayment will vary with each lender and/or individual. RE taxes for this land for sale are estimated based on the actual property taxes for this property for the tax year 2024 which are $360 but will likely change when this land sells. These estimations are calculated from a list price of $999,900 and a 25% down payment and do not include homeowners insurance which will vary greatly depending on the land characteristics and location.
Recent Land Sales near Parcel 02-20-30-300-0200-0000
MLS# MFRO6356959 Listing History
Map of Parcel 02-20-30-300-0200-0000 Sanford FL 32771
The data relating to homes for sale or lease or other real estate for sale or for rent on the ZFC website comes in part from a cooperative data exchange program of the MLS in which this Broker participates. The real estate displayed may not be all of the homes in the database, or all of the properties listed with Brokers participating in the cooperative data exchange program. Homes for sale that are listed by Brokers other than this Broker are marked with either the listing Broker's name or the MLS name or a logo provided by the MLS and the details page about such properties includes the name of the listing Brokers. Information provided is thought to be reliable but is not guaranteed to be accurate; you are advised to verify facts that are important to you. No warranties, expressed or implied, are provided for the data herein, or for their use or interpretation by the user. ZFC, the Florida Association of Realtors and its cooperating Multiple Listing Services do not create, control or review the property data displayed herein and take no responsibility for the content of such records. Federal law including the fair housing act prohibits discrimination on the basis of race, color, religion, sex, handicap, familial status or national origin in the sale, rental or financing of housing. IDX information is provided exclusively for personal, non-commercial use, and may not be used for any purpose other than to identify prospective properties consumers may be interested in purchasing. Information is deemed reliable but not guaranteed.
-
- Palm Beach
- Boca Raton
- Highland Beach
- Delray Beach
- Boynton Beach
- Lake Worth
- Wellington
- West Palm Beach
- Palm Beach Gardens
- Jupiter
- Singer Island
- Broward
- Fort Lauderdale
- Parkland
- Coral Springs
- Davie
- Weston
- Plantation
- Pembroke Pines
- Southwest Ranches
- Hillsboro Beach
- Miami/Dade
- Miami
- Miami Beach
- Aventura
- Sunny Isles
- Bal Harbour
- Surfside
- Coral Gables
- Treasure Coast
- Port Saint Lucie
- Fort Pierce
- Palm City
- Jensen Beach
- Vero Beach
- Stuart
- Hobe Sound
- Gulf Coast
- Naples
- Marco Island
- Fort Myers
- Bonita Springs
- Sarasota
- Tampa
- Clearwater


