Lot 10 HOMESTEAD CIRCLE NORTH PORT FL 34286 Sold 12/19/2025 (MFRD6139598)
See Also...
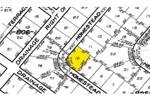
Overview of Parcel 0964080510
Oversized corner lot in the popular north port area! Not in a flood zone so when you build your florida dream home, your lender will not require flood insurance! Not in a designated scrub jay habitat either per city of north port (please reconfirm during due diligence to make sure nothing has changed). Electric service is available and well and septic will be required. This lot is located close to interstate i-75 for easy access to ft myers or sarasota! Close to shopping, great restaurants, aquatic center, biking trails, parks and a short drive to area beaches! Don't let this great opportunity pass you by. Not ready to build? Invest in your future with this property!
Please contact your ZFC agent for more information about MLS# MFRD6139598 or any other land for sale in North Port or elsewhere in the Sarasota County area.
Lot 10 Homestead Circle Price Calculator
The payment calculator figures for Parcel 0964080510 should be used as an estimate only. Loan terms including interest rate, and required downpayment will vary with each lender and/or individual. RE taxes for this land for sale are estimated based on the actual property taxes for this property for the tax year 2025 which are $716 but will likely change when this land sells. These estimations are calculated from a list price of $24,900 and a 25% down payment and do not include homeowners insurance which will vary greatly depending on the land characteristics and location.
Recent Land Sales near Lot 10 Homestead Circle
MLS# MFRD6139598 Listing History
Sarasota County Schools
Elementary School
Middle School
High School
Map of Lot 10 Homestead Circle North Port FL 34286
The data relating to homes for sale or lease or other real estate for sale or for rent on the ZFC website comes in part from a cooperative data exchange program of the MLS in which this Broker participates. The real estate displayed may not be all of the homes in the database, or all of the properties listed with Brokers participating in the cooperative data exchange program. Homes for sale that are listed by Brokers other than this Broker are marked with either the listing Broker's name or the MLS name or a logo provided by the MLS and the details page about such properties includes the name of the listing Brokers. Information provided is thought to be reliable but is not guaranteed to be accurate; you are advised to verify facts that are important to you. No warranties, expressed or implied, are provided for the data herein, or for their use or interpretation by the user. ZFC, the Florida Association of Realtors and its cooperating Multiple Listing Services do not create, control or review the property data displayed herein and take no responsibility for the content of such records. Federal law including the fair housing act prohibits discrimination on the basis of race, color, religion, sex, handicap, familial status or national origin in the sale, rental or financing of housing. IDX information is provided exclusively for personal, non-commercial use, and may not be used for any purpose other than to identify prospective properties consumers may be interested in purchasing. Information is deemed reliable but not guaranteed.
-
- Palm Beach
- Boca Raton
- Highland Beach
- Delray Beach
- Boynton Beach
- Lake Worth
- Wellington
- West Palm Beach
- Palm Beach Gardens
- Jupiter
- Singer Island
- Broward
- Fort Lauderdale
- Parkland
- Coral Springs
- Davie
- Weston
- Plantation
- Pembroke Pines
- Southwest Ranches
- Hillsboro Beach
- Miami/Dade
- Miami
- Miami Beach
- Aventura
- Sunny Isles
- Bal Harbour
- Surfside
- Coral Gables
- Treasure Coast
- Port Saint Lucie
- Fort Pierce
- Palm City
- Jensen Beach
- Vero Beach
- Stuart
- Hobe Sound
- Gulf Coast
- Naples
- Marco Island
- Fort Myers
- Bonita Springs
- Sarasota
- Tampa
- Clearwater


