2 ZEBRAWOOD COURT PALM COAST FL 32164 Sold 04/24/2026 (MFRA4684190)
See Also...
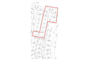
Overview of Parcel 07-11-31-7063-00710-0010
Discover a rare opportunity to own 2.82 acres across multiple individual lots in palm coasts desirable quail hollow subdivision. This unique offering features a combination of corner and irregularly shaped parcels, including lot dimensions of approximately 102 x 125, 125 x 87, and 100 x 125, creating flexibility for custom building, investment, or future development. Situated along a quiet cul-de-sac with varied orientations including frontage facing north, northwest, southeast, and south the property also offers rear exposures to the north, east, and west for versatile site planning and privacy options. located just minutes from flagler beach, major highways including i-95, shopping centers, dining, and entertainment, this property combines convenience with a peaceful residential setting. With no time restrictions to build, you can design and construct at your own pace. Whether youre a builder, investor, or future homeowner, this multi-lot assemblage offers exceptional potential in one of palm coasts fastest-growing areas.
Please contact your ZFC agent for more information about MLS# MFRA4684190 or any other land for sale in Palm Coast or elsewhere in the Flagler County area.
2 Zebrawood Ct Price Calculator
The payment calculator figures for Parcel 07-11-31-7063-00710-0010 should be used as an estimate only. Loan terms including interest rate, and required downpayment will vary with each lender and/or individual. RE taxes for this land for sale are estimated based on the actual property taxes for this property for the tax year 2025 which are $975 but will likely change when this land sells. These estimations are calculated from a list price of $99,000 and a 25% down payment and do not include homeowners insurance which will vary greatly depending on the land characteristics and location.
Recent Land Sales near 2 Zebrawood Ct
MLS# MFRA4684190 Listing History
Flagler County Schools
Elementary School
Middle School
High School
Map of 2 Zebrawood Ct Palm Coast FL 32164
The data relating to homes for sale or lease or other real estate for sale or for rent on the ZFC website comes in part from a cooperative data exchange program of the MLS in which this Broker participates. The real estate displayed may not be all of the homes in the database, or all of the properties listed with Brokers participating in the cooperative data exchange program. Homes for sale that are listed by Brokers other than this Broker are marked with either the listing Broker's name or the MLS name or a logo provided by the MLS and the details page about such properties includes the name of the listing Brokers. Information provided is thought to be reliable but is not guaranteed to be accurate; you are advised to verify facts that are important to you. No warranties, expressed or implied, are provided for the data herein, or for their use or interpretation by the user. ZFC, the Florida Association of Realtors and its cooperating Multiple Listing Services do not create, control or review the property data displayed herein and take no responsibility for the content of such records. Federal law including the fair housing act prohibits discrimination on the basis of race, color, religion, sex, handicap, familial status or national origin in the sale, rental or financing of housing. IDX information is provided exclusively for personal, non-commercial use, and may not be used for any purpose other than to identify prospective properties consumers may be interested in purchasing. Information is deemed reliable but not guaranteed.
-
- Palm Beach
- Boca Raton
- Highland Beach
- Delray Beach
- Boynton Beach
- Lake Worth
- Wellington
- West Palm Beach
- Palm Beach Gardens
- Jupiter
- Singer Island
- Broward
- Fort Lauderdale
- Parkland
- Coral Springs
- Davie
- Weston
- Plantation
- Pembroke Pines
- Southwest Ranches
- Hillsboro Beach
- Miami/Dade
- Miami
- Miami Beach
- Aventura
- Sunny Isles
- Bal Harbour
- Surfside
- Coral Gables
- Treasure Coast
- Port Saint Lucie
- Fort Pierce
- Palm City
- Jensen Beach
- Vero Beach
- Stuart
- Hobe Sound
- Gulf Coast
- Naples
- Marco Island
- Fort Myers
- Bonita Springs
- Sarasota
- Tampa
- Clearwater


